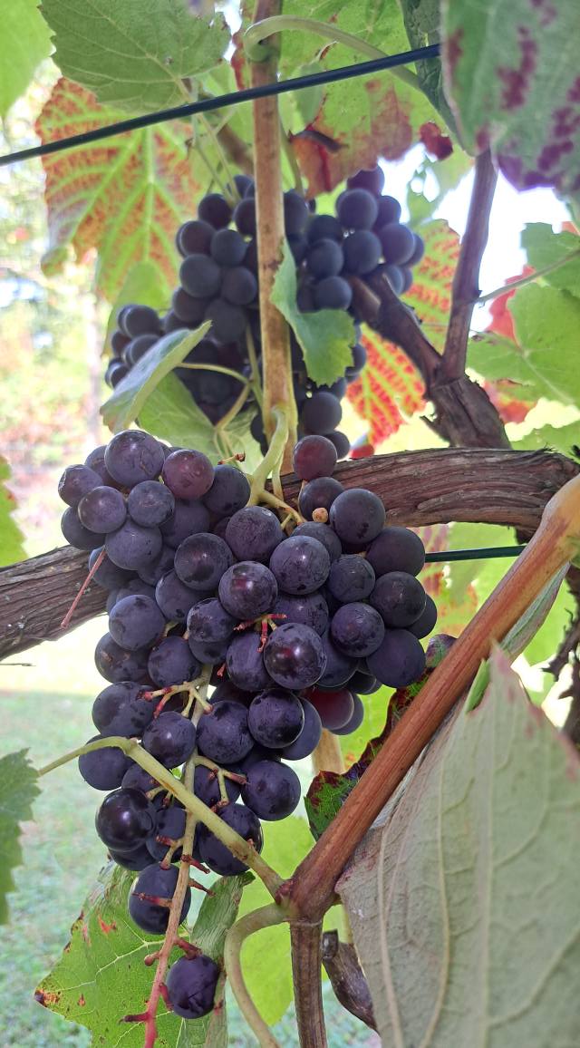
13.08.2025 – Traubenlese
„Die süßesten Trauben hängen am höchsten“
Wir starteten mit unseren Bewohner*Innen die erste Traubenlese. In den letzten Tagen kosteten unsere Bewohner*Innen die schon fast reifen Trauben, bis es endlich hieß: „Die ersten Trauben sind reif!“ Somit wurde sofort mit der ersten Lese begonnen und im Anschluss sofort verspeist.
Wir danken ganz herzlich unserem Ehrenamtler Herrn Blesius, für seine jahrelang Unterstützung und seine ganze Mühe und Arbeit, die er in die Reben steckt, um unseren Bewohner*Innen einen schönen Moment zu zaubern. Vielen lieben Dank.








